Magazzino in vendita a Ancona

In vendita
Magazzino
Ancona (BARACCOLA)
60.000 €
Descrizione
VLC 5 BARACCOLA Sé sei alla ricerca di un magazzino questo potrebbe essere l'immobile che fà per te.
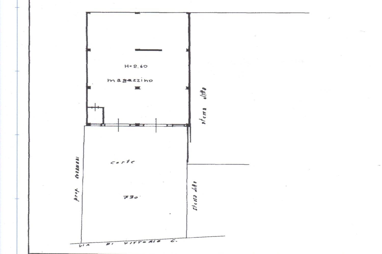
Locale commerciale Cat. C 2 di 206 mq. al piano terra, H = 2,60ml
Il magazzino dispone di n. 2 vani oltre al servizio, situato al piano terra, con corte antistante di 200 mq., il che lo rende comodo e accessibile per l'immagazzinamento ed il carico e scarico di merci e altri beni.
Ideale per piccoli artigiani
Questa proprietà rappresenta un'opportunità interessante per chi è alla ricerca di un magazzino di piccole dimensioni, in una posizione strategica nella zona commerciale della Baraccola.
ATTUALMENTE LOCATO. Per maggiori informazioni o per fissare un appuntamento per una visita, non esitate a contattarci. INFO 335 5269693
Caratteristiche principali
Codice:
VLC 5
Città:
Ancona (BARACCOLA)
Categoria:
Magazzino
Locali:
2
Mq:
206
Piano:
Terra
Classe energetica:
In fase di valutazione
Richiedi informazioni
Invia
Cookie preference